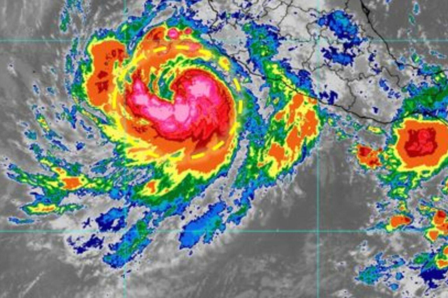
El Servicio Meteorológico Nacional (SMN) apuntó que para este lunes 6 de octubre de 2025 que el huracán “Priscilla” se localiza al suroeste de Jalisco y al sur de la península de Baja California.
Por medio de un comunicado, el SMN indicó que los desprendimientos nubosos de “Priscilla” ocasionarán lluvias puntuales intensas en Jalisco (sur), Colima, Michoacán (este y costa) y Guerrero (suroeste y costa); puntuales muy fuertes en Nayarit y Sinaloa (sur); así como lluvias puntuales fuertes en el sur de Baja California Sur.
La amplia circulación del huracán “Priscilla” generará intensas rachas de viento con oleaje elevado en las costas del Pacífico central mexicano.
La onda tropical 36 se desplazará sobre el sureste del país, e interaccionará con una circulación ciclónica en niveles altos de la atmósfera en el suroeste del golfo de México, la vaguada monzónica y la entrada de aire húmedo del mar Caribe, lo que originará lluvias puntuales intensas en Quintana Roo, Campeche, Tabasco, Chiapas, Veracruz y Oaxaca; y puntuales muy fuertes en Yucatán y Puebla.
Finalmente, un canal de baja presión en el interior de la República Mexicana en combinación con la entrada de aire húmedo del océano Pacífico y golfo de México, propiciaran lluvias puntuales fuertes en Tlaxcala, Morelos, Ciudad de México, Estado de México, Hidalgo, Querétaro, Guanajuato, Aguascalientes, Zacatecas y Durango; chubascos en Tamaulipas y San Luis Potosí; y lluvias aisladas en zonas de Nuevo León, Coahuila y Chihuahua.
Pronóstico de lluvias para el 6 de octubre:
- Muy fuertes con puntuales intensas (75 a 150 mm): Jalisco (sur), Colima, Michoacán (este y costa), Guerrero (suroeste y costa), Oaxaca (oeste, noreste y costa), Chiapas (norte y sur), Veracruz (sur), Tabasco, Campeche (suroeste) y Quintana Roo (este y sureste).
- Fuertes con puntuales muy fuertes (50 a 75 mm): Sinaloa (sur), Nayarit, Puebla y Yucatán
- Chubascos con lluvias puntuales fuertes (25 a 50 mm): Baja California Sur, Durango, Zacatecas, Aguascalientes, Guanajuato, Querétaro, Hidalgo, Tlaxcala, Morelos, Estado de México y Ciudad de México.
- Intervalos de chubascos (5 a 25 mm): San Luis Potosí y Tamaulipas.
- Aisladas (0.1 a 5 mm): Chihuahua, Coahuila y Nuevo León.
Pronóstico de temperaturas máximas para hoy:
- De 35 a 40 °C: Baja California Sur, Sonora, Sinaloa, Chihuahua, Nuevo León, Nayarit, Jalisco, Colima (sureste), Michoacán (suroeste), Oaxaca, Tamaulipas y Campeche.
- De 30 a 35 °C: Baja California, Coahuila, Durango, San Luis Potosí (este), Guerrero, Chiapas, Querétaro (norte), Hidalgo (norte), Puebla (norte y suroeste), Morelos (sur), Veracruz, Tabasco, Yucatán y Quintana Roo.


